Terreno
Bairro Universitário - Lajeado/RS
Informações
| Cód/Ref. | V2353 |
|---|---|
| Tipo | Terreno |
| Cidade | Lajeado |
| Bairro | Universitário |
| Área do terreno | 390.00m² |
| Medidas do terreno | 13,00 x 30,00 |
| Empreendimento | Loteamento Blumen Garten |
Consulte o valor
Informações extras
Loteamento destinado exclusivamente para a construção de residências unifamiliares acima de 150 m², não sendo permitida a construção de sobrados e nem casas geminadas. O local conta com diversas áreas verdes e de preservação permanente.
características do imóvel
- Loteamento de alto padrão
- Ruas asfaltadas
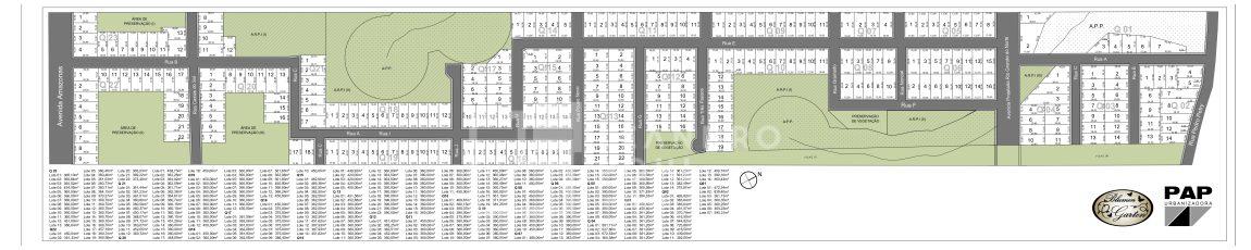
Descrição do Loteamento
Entre a Avenida Amazonas e a Rua Pedro Petry no Bairro Universitário está localizado o loteamento Blumen Garten I, II e III, excelente loteamento de padrão elevado da cidade de Lajeado, destinado exclusivamente para a construção de residências unifamiliares acima de 150 m², não sendo permitida a construção de sobrados e nem casas geminadas.
O local conta com diversas áreas verdes e de preservação permanente.
características do Loteamento
- Ruas asfaltadas com 34 mil m² de asfalto
- construção de residências unifamiliares acima de 150 m²
- 294 lotes de 360m² a 595,31m²
- Loteamento de 2013
